Minden Pedestrian Crossover

During the 2026 budget deliberations, Minden Hills Council approved the construction of a new pedestrian crossover (PXO) on Bobcaygeon Road (commonly known as Main Street), in Minden Village.

The Township has been working with Engage Engineering to develop a concept for the project. At the March 26, 2026 Council meeting staff presented conceptual drawings with the proposed Pedestrian Crossover in downtown Minden.

What is a pedestrian crossover - abbreviation (PXO)?

A pedestrian crossover (PXO) is a designated road crossing—often between intersections—marked by signs, pavement markings, and sometimes flashing lights, where drivers and cyclists are legally required to stop for pedestrians. 

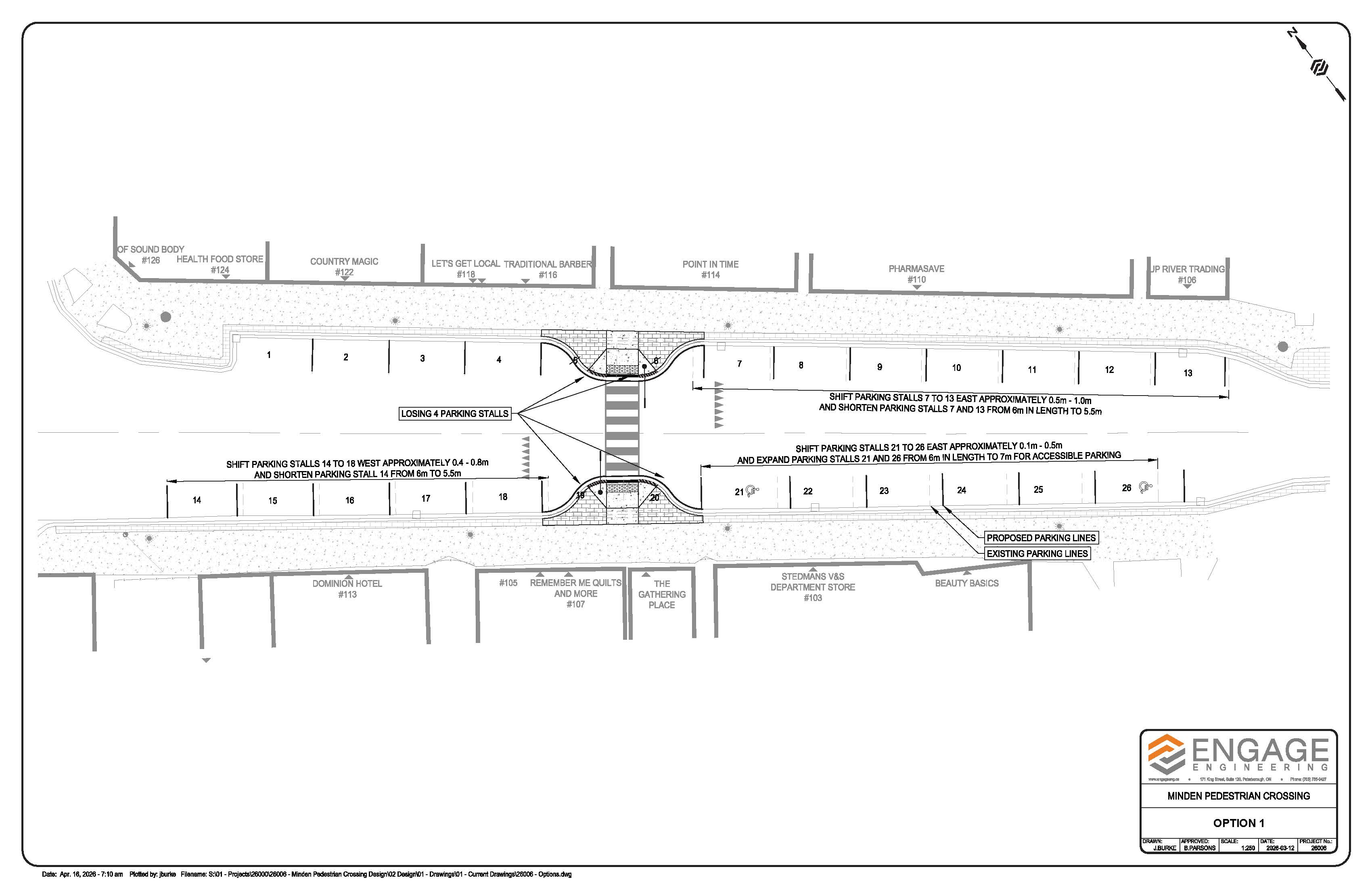
Conceptual Drawings of the Pedestrian Crossover

Note these drawings have been updated. Lost parking spaces has been reduced to four (4) spaces, original concept had six (6) spaces removed. 

Community Consultation

The Township invites feedback from the community on the proposed Pedestrian Crossover for Downtown Minden. 

The consultant, Engage Engineering, has provided a high level, conceptual plan for the proposed crossing that includes location, parking implications, signage and lighting. The report presented at the March 26, 2026 Council meeting is below in the Document Links. The conceptual drawings were updated following the March 26, 2026 Council meeting. 

Final location will be determined by survey, which is underway. Final location will take into consideration other street furniture, light posts and catch basins, to ensure a logical and efficient installation. The conceptual design incorporates solar powered lighting, which will limit disruption during construction.

In order to meet required setbacks, Bobcaygeon Road will lose four parking spaces, two on each side of the road. Accessible parking spaces will be available near the crosswalk and on either end of the block. 

We encourage the community to provide their feedback on the conceptual plan. 

Submit your comments and questions to the Township of Minden Hills - Pedestrian Crossover to Email.

Document Links:

Report - Minden Pedestrian Crossover Conceptual Plan

 

Contact Us

Township of Minden Hills
7 Milne Street
BOX 359
Minden ON K0M 2K0
Phone 705-286-1260
Email

Sign up for Minden Hills News

Stay up to date on the Township's activities, events, programs and operations by subscribing to our News.